Как вылечить фикус, основные виды болезней и вредителей комнатного растения. Почему плохо растет Фикуса Бенджамина: болезни и вредители и основные причины их возникновения
Во-первых, фикусы увядают за счет условий содержания:
- резкие смены температуры в комнате
- недостаточно влажный воздух, сквозняк;
- освещение: чрезмерно яркое или недостаточное
- нестабильный режим полива фикуса: частый либо редкий
- неверная минерализация;
- болезненная почва.
Также существуют заболевания, которые вызваны другими серьезными причинами. В их число входят грибковые вирусы, вредители. В таки ситуациях растение требует большего внимания и сил.
О болезни растения в первую очередь повествуют его листья. Они будут выглядеть болезненными, желтоватыми, с разводами и рядом других признаков.
Пожелтение листьев цветка
Причиной пожелтения фикусовых листьев часто служит сухой и через чур теплый воздух в помещении, либо слишком сильное освещение. Обычно это происходит в период отопительного сезона, когда фикус поставлен на подоконник, на южную сторон. Листья фикуса обжигаются солнечными лучами, вследствие чего они начинают желтеть и умирать. Способ борьбы с пожелтением листьев.
Уберите ваш цветок от солнца либо батареи, займитесь увлажнением воздуха в помещении, используйте специальный увлажнитель. Некоторые прибегают к намоченному полотенцу, после его вешают на обогреватель либо кладут на солнце. Попробуйте листья фикуса опрыскивать чаще.
Важно помнить о том, что запрещено опрыскивать фикус либо любое другое растение, если после этого оно останется стоять на солнце. Это приводит к опасным для жизни растения ожогам
Желтеть листья будут и в том случае, когда вы часто переносите его. Растение не успевает правильно адаптироваться и так сигнализирует о своем самочувствии. Необходимо изначально решить, где будет располагаться ваш фикус.
Если листья уменьшаются и начинают опадать
Причины опадения листьев фикуса
В этой проблеме виноваты сразу несколько причин:
Вашему фикусу недостает питательных веществ: попробуйте сменить почву путем пересадки растения. Используйте листовую землю, торф и песок (в равных пропорциях). Не забудьте полить ваш фикус сразу после пересадки.
Большой уровень влажности в почве: это можно понять через пятна, появляющиеся на поверхности листьев, пожелтение краев и опадание. Дождитесь пока грунт высохнет и продолжайте умеренным поливом.Если фикус продолжает опадать, то немедленно пересадите его в новую почву и удалите подгнившие корешки.
Помните, что состояние фикусовых листьев также зависит и от редкого полива. В этом случае они могут начать сохнуть и сморщиваться. В случае если эту проблему не решать сразу, то могут пострадать корни. Тогда цветок не сможет жить дальше.
Высокая температура в помещении, сухой воздух, избыток подкормки. Листья покрываются пятнами и избавиться от этого явления можно только после удаления причин появления.

Опадение листьев на нижней части фикуса
Если при опадение листьев внизу сразу вырастают здоровые, то причин для беспокойства нет. Если новые листья не появляются, то попробуйте пересадку растения либо выберите дополнительную подкормку.
Что делать, если листья отмирают, после устранения вышеперечисленных причин
Зачастую виноваты поражения, к которым причастны вредители либо инфицирование. Необходимо использовать дезинфицирующие средства. Чтобы подобрать нужные средства, следует проанализировать само растение и выявить причину
Грибковые заражения
Серая гниль, Ботритис
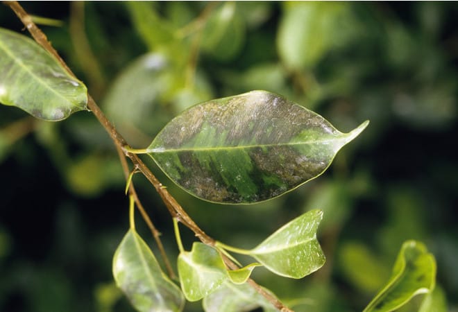
Такие виды болезней могут быть обнаружены у фикусов, которые находятся в условиях чрезмерно увлажненного воздуха с высокими температурами.
На некоторых частях листа появляется серый налет. Если встряхнуть, то взлетит пыль. Фикус сначала темнеет, потом со временем начинают отмирать листья.
Вылечить цветок можно удалив все пострадавшие листья цветка, а после дайте почве просохнуть. После этого стабилизируйте полив и обеспечьте помещению регулярное проветривание.

Заболевание сажистым грибом
Заболевание сажистым грибом обнаруживается по таким признакам как черный налет на внешней части листа. Предшественником такого заболевания остаются насекомые вредители.
Если участки поражения невелики, то от них можно избавиться использовав мыльный раствор. Пройдитесь смоченной в мыльной воде губкой по каждому листику фикуса. Если поражение нанесло сильный ущерб листу, его можно только удалить, а корень растения и стебли попробуйте опрыскивать фунгицидом.

Фитофтора, питиум, ризоктония
Следующие болезни. Подобные грибки приводят к загниванию как корней, так и стебля. Постепенно растение перестает расти и спустя время отмирает. Его вряд ли получится выходить, так что уберите его, чтобы не заразить другие растения, возле заразного.
В профилактически целях прибегайте к умеренному режиму полива, примерно один раз в течение месяца поливайте растение марганцовым раствором слабой концентрации.

Мучистая роса
Заболевание мучнистая роса вы узнаете его по белым пятнам. Подобное заболевание провоцируют высокие температуры и уровень влажности.
Лечатся подобные заболевания при помощи использования раствора. Смешивают медный купорос, кальцинированную соду. На 10 грамм соды, два грамма хоз. мыла. Эти составляющие необходимо разводить на литр воды. Раздельно размешивают 2 грамма купороса, вливают получившуюся жидкость в изначальную смесь. Увеличивайте объем до получения 2л и им опрыскивайте пораженные участки.

Заболевание ржавчиной
Ржавчина — это одна из часто появляющихся заболеваний как у домашних растений, так и у садовых цветов. Она выражается через пятна желтого и коричневого цветов на поверхности листьев. Края листьев выглядят словно обожженными. Он будет иметь на себе язвы. Для лечения используют очищение фикуса от заболевших участков и обрабатывают, используя фунгицид.
Попробуйте выявить наиболее верное заболевания своего растения путем сравнения обнаруженных вами признаков с фотографиями в Интернете либо в этой статье. Тогда лечение вашего фикуса будет наиболее продуктивным, и вам получится уберечь ваши соседние цветы от заражения.

Насекомые вредители
Насекомых человек редко когда может увидеть невооруженным глазом. Они становятся заметны лишь после размножения в определенном количестве. Важной частью заботы о вашем фикусе является тщательный периодический осмотр растения.
Щитовка селится на обратной стороне фикусового листа либо на самом стебле. О наличии щитовки говорят набухшие пятна коричневого цвета. Щитовка живет за счет сока растения. После нее на листе останется клейкий налет. Именно он дает возможность развиваться сажистому грибу.

Паутинный клещ
Вы узнаете его по наличию пятен бурых и серых оттенков на листах. В некоторых частях фикуса может быть слабозаметная паутинка. Паутинные клещи развиваются в условиях сухости и тепла. За счет таких факторов паутинные клещи быстро размножаются и живут.
Подверженные паутинному клещу листья высыхают, опадают. Поддерживайте в помещении нейтральный уровень влажности, не забывайте опрыскивать растение, иногда протирайте листья раствором хозяйственного мыла.

Тля
Тлю характеризует наличие мучнистого липкого налета, желтизна листьев и их деформирование. Следы тли становятся рассадником и почвой для получения грибковой инфекции. Это обязательно закончится погибанием растения. Для уничтожения тли прибегают к обработке мыльным раствором либо инсектицидами. Насекомые тли могут располагаться на многих растениях в квартире.

Болезни фикуса Бенджамина могут существенно испортить растение, а в некоторых случаях даже погубить его. Что делать, если у фикуса краснеют листья или появились белые пятна, клещи, тля и белые или красные точки? Действовать нужно немедленно. Если вовремя не приобрести специальные лечебные средства и не избавить больное комнатное растение от вредителей и заболеваний, а также белых комочков, оно может попросту погибнуть.
Болезни листьев
- желтизна кончиков листьев, появление желтых пятен. Подобная проблема свидетельствует о переизбытке влаги в земле. Не забывайте о том, что фикус любит влагу, но поливы должны быть умеренными. Обязательно дайте земле просохнуть перед следующим орошением субстрата. Для комнатного цветка гораздо менее губительным окажется недостаток влаги, чем ее избыток;
- сбрасывание листов в нижней части ствола. Такая причина считается естественной – каждая листовая пластина фикуса развивается в течение трех лет, а затем стареет и опадает. Однако нельзя чтобы ствол оголился полностью, поскольку спасти его в этом случае будет очень трудно. Если же вы наблюдаете свершение неудачных прогнозов, самое время пересадить цветок или внести в почву комплексные минеральные удобрения;
- вредители на листьях фикуса. Вследствие этого листовая пластина рано или поздно отмирает, если не приняться за лечение. Избавиться от вредителей вы сможете при помощи специальных инсектицидных препаратов, купить которые необходимо в магазине.
Если фикус Бенджамина заболел, главное, как можно скорее определить причину возникновения недуга. Лишь после этого начинайте лечить свой фикус.
Инфекционные заболевания
Если на листьях фикуса Бенджамина появляются различные вредители, бороться с ними можно вполне результативно, особенно если проблема была замечена вами на ранней стадии. Но если вы сталкиваетесь с инфекционными заболеваниями, вылечить растение от них гораздо труднее.
Первые признаки сложно заметить, а когда цветок серьезно болеет, даже самые эффективные способы не всегда дают желаемый результат. Чтобы победить инфекционные болезни фикусов, необходимо подробнее рассмотреть, с какими недугами растения может столкнуться отечественный цветовод, и что делать в этом случае.
Грибковые заболевания
Грибковые заболевания фикусов считаются наиболее опасными для растения. Если вредители фикуса Бенджамина удаляются с применением качественных инсектицидов, пораженный грибковым недугом зеленый экземпляр в некоторых случаях не удается спасти даже опытному цветоводу. Какие конкретно болезни фикуса относятся к данной категории, стоит изучить тщательно.
Серая гниль
Среди болезней домашнего фикуса, являющихся результатом деятельности грибковых образований на цветке, стоит в первую очередь выделить серую гниль. Ключевым признаком недуга считаются почерневшие листья, которые, в конечном счете, опадают. Как правило, болезни появляется из-за чрезмерно высокой влажности в помещении. В ходе борьбы с таким заболеванием необходимо снизить частоту поливов, а также чаще проветривать комнату.
Сажистый гриб
Лечение черного налета (а это ключевой признак недуга) может понадобиться после того, как растение атаковали вредоносные насекомые. Начальный этап борьбы с недугом предполагает обмывание цветка мыльной водой. В жидкости смочите губку и тщательно пройдитесь по каждому листочку. Стебель необходимо также обработать фунгицидом. В качестве профилактических мер в дальнейшем не заливайте цветок водой чрезмерно. Не помешает и орошение субстрата раствором марганца. Такую процедуру проводить желательно хотя бы раз в месяц.
Грибки на листьях
Среди грибковых образований, появляющихся в большинстве своем на листовых пластинах, стоит выделить церкоспора, антракноз, а также ботритис. В процессе развития таких недугов на листьях развиваются черные, желтые или . Если не бороться с ними, результат вас ждет один и тот же: отмирание листовой пластины.
Ликвидировать недуг необходимо при помощи удаления пораженных частей и обработки растения фунгицидом.
Гниль корней
Если фикус заболевает гнилью корней, значит, вы в свое время не соблюдали режим полива растения. В этом случае корневая система начинает активно загнивать, а стебли и листья увядают, постепенно теряя яркость оттенка и приобретая сероватый цвет. Что интересно, если инфекция попадает в грунт, она может какое-то время не переходить на цветок. Но рано или поздно это произойдет, и тогда единственным правильным решением станет выбрасывание растения вместе с горшком в мусор.
Атакующие растение вредители
Но с огромной колонией клещей и бороться труднее. Вот почему не помешает проводить регулярный осмотр цветка на предмет обнаружения мучнистого червеца или тли на стеблях и листьях. Если появилась тля на фикусе, как бороться с ней? Покупайте действенные инсектициды и тщательно обрабатывайте цветок.
Профилактика болезней
Тля на фикусе Бенджамина, трипсы, клещи или мучнистый червец могут погубить ваше вечнозеленое растение. Чтобы оно не болело впредь и не погибло от очередного недуга или нашествия вредителей, вам следует запомнить ключевые моменты, обязательные для осуществления качественной профилактики.
Болезни и вредители (налет на листьях, белые комочки, мучнистый червец, паутинный клещ, всевозможные покраснения и белые налеты) появляются в первую очередь из-за допущенных вами ошибок в уходе за цветком. Не стоит чрезмерно орошать субстрат, поскольку переувлажнение грунта способствует развитию грибковых болезней.
Очень часто цветоводы пытаются сэкономить, приобретая дешевую почвенную смесь или готовя ее самостоятельно. Однако это не самое лучшее решение, ведь вы можете занести в грунт инфекцию, от которой и понадобится потом лечить фикус.
Видео «Спаасаем комнатные растения от болезней»
Из этого видео вы узнаете о том, как спасти комнатные растения от различных заболеваний.
Всем известно, что такое растение, как фикус, является любимчиком многих искусных садоводов и простых домохозяек. Во-первых, это довольно неприхотливые растения, а во-вторых, нет ничего проще, чем вырастить его в домашних условиях. Одним из наиболее встречаемых видов этого дерева является небезызвестный фикус Бенджамина. Однако, несмотря на устойчивость перед многими воздействующими факторами окружающей среды, даже фикус могут поразить различные заболевания. Болезни фикуса Бенджамина возникают из-за, казалось бы, очевидных упущений, таких как, ненадлежащая профилактика, заражения и некорректные меры гигиены.
О том, что делать, если вашего комнатного любимца поразило то или иное заболевание, а также о том, что представляет собой лечение Бенджамина, расскажет статья далее.
Меры предотвращения заболеваний
Грамотный уход способен предотвратить массу проблем и заболеваний. Для того, чтобы ваш фикус был здоровым и крепким, необходимо соблюдать некоторые меры предосторожности, пересаживая Бенджамина в новую почву, либо располагая его рядом с другими растениями. К главным и первоочередным профилактическим мерам относят:

Если предоставленные цветку условия содержания будут оптимальными, они полностью обезопасят цветок от болезни, инфекции, вируса или грибка.
Основные источники болезней
Бывает так, что болезни у фикуса Бенджамина связаны с чрезмерным или неподходящим уходом. Помните, что от того, в каких условиях содержится ваш цветок, зависит его здоровье. Обеспечьте фикус Бенджамина следующими условиями:
- правильным освещением и температурой в комнате содержания фикуса;
- достаточной влажностью воздуха;
- качественным поливом (не допускайте недостатка либо переизбытка влаги);
- сильной минерализацией;
- правильным количеством удобрений;
- сбалансированным составом грунта.
Владельцы фикусов зачастую жалуются на то, что листики на их растениях стали увядать, желтеть и даже осыпаться, в таких случаях основными рекомендациями станут: увеличение либо сокращение количества поливов, изменение места расположения вашего цвета (к примеру, с теневого угла на солнце, и наоборот), пересадка растения в новый грунт.
Информация о возможных заболеваниях
Болезни и вредители – главные враги любого фикуса. Так как «врага нужно знать в лицо», каждому садоводу необходимо ознакомиться со всеми существующими заболеваниями, характерными данному растению.
Пожелтевшие листья. Этот признак довольно распространен среди заболевших фикусов. Зачастую, виной всему становится чрезмерной сухой воздух в комнате, что часто бывает зимой, а также при расположении фикусов рядом с горячими батареями. Из-за влияния горячего воздуха листья могут пожелтеть, завянуть и опасть. Потеря листьев приводит к гибели растения. Для того, чтобы решить проблему, перенесите цветок в другое место, где установлен специальный увлажнитель. Другим оптимальным вариантом является покрытие батареи покрывалом и постоянное опрыскивание цветка. Лист может пожелтеть и из-за стресса, который возникает из-за частого перемещения цветка по квартире. Важно подобрать лучшее место для фикуса сразу, чтобы не привести к неожиданным последствиям после.
Листья опадают или измельчаются. В данном случае можно смело говорить о том, что вашему растению недостает витаминов и питательных элементов. Избавиться от этого в комнатных условиях можно путем пересадки в другой, более сбалансированный, грунт. Делая это, используйте только субстрат, приготовленный по правилам. Он должен включать равное количество торфа, песка и листовой земли. Пересадив растение, полейте его умеренным объемом жидкости. Другой причиной подобного проявления, а также изменения здорового вида на сухой и поблекнувший вид, является переизбыток жидкости в грунте. Чтобы полив был успешен, необходимо всегда давать почве возможность полностью высохнуть. Не делая этого, корневая система сгниет, а растение погибнет. В случае, когда земля уже залита, дождитесь высыхания или пересадите фикус в другой грунт, устранив при этом испорченные корни. Признаком скудного полива является появление сухих и сморщенных листьев (увидеть их можно на любом фото больного цветка). Такое пренебрежительное отношение приводит к иссушению корней и последующей гибели.
Вредители Фикуса Бенджамина! Как бороться с вредителями Фикуса!
Болезни и вредители Фикуса "Бенджамина" Комнатные растения.
Почему у ФИКУСА желтеют и опадают листья. Проблемы с фикусом бенджамина и их решение
Листы покрылись коричневыми пятнышками? Это значит, что температура воздуха в вашей квартире более, чем высока, для данного цветка, либо растению недостает влаги. Возможно, что вы переусердствовали с подкормкой. Листья опадают снизу фикуса – иногда виной опадению становятся вовсе не болезни, а естественный процесс старения. Если это действительно второй вариант, то не должно происходить оголение ствола, ведь это говорит о нужде в пересадке в другой грунт, либо о дополнительном удобрении. Листья отмираю: отмирание относят к тяжелой болезни, виной которой различные вирусы и инфекции. Лечение в данном случае проводится инсектицидными препаратами после осмотра цветка.
О вредителях фикуса и методах борьбы
Вредители фикуса Бенджамина представляют собой целый список представителей, борьба с которыми необходима и обязательна. Рассмотрим наиболее известные, которые в этот список входят.
Не только вредители являются частыми «гостями» фикусов. Грибковые болезни также периодически поражают комнатные цветки. Рассмотрим тех, которые относят к противникам фикуса Бенджамина, более подробно.
Серая гниль. Проявление болезни заключается в покрытии листьев и стебля серой плесенью. При встряхивании плесень взлетает, образовывая «пыль». Зачастую листья отмирают. При обнаружении признаков, необходимо обеспечить фикусу надлежащий уход, удалив каждый пораженный участок. Старайтесь проветривать комнату регулярно, уменьшив при этом объем полива. Сажистый гриб проявляется серо-черным налетом. Уход за пораженным цветком заключается в обработке мыльной водой и удалении больных листов. Листовой грибок представлен черными большими пятнами. Для лечения необходимо устранить все больные участки и воспользоваться фунгицидом. Корневой грибок возникает из-за переувлажнения и не подлежит лечению.
Болезни и вредители фикуса Бенджамина разнообразны, однако меры их устранения в квартирных условиях не представляют собой ничего сложного. Чтобы вырастить здоровый цветок, достаточно соблюдать правильный уход и проводить своевременные профилактические меры.
Растения из рода Фикус, семейства Тутовые, используются человеком с незапамятных времен. Лист фиги или инжира, одного из видов фикуса, многократно изображался художниками всех времен, а сам инжир относится к ценным продуктам питания. Многие виды фикусов ценятся как каучуконосы. Листья фикуса применяются в медицине.
Растут фикусы преимущественно в теплом климате тропиков и субтропиков. Из-за привлекательного внешнего вида они стали популярными комнатными растениями. Один из них - фикус бенджамина, о вредителях которого и мерах борьбы с ними речь пойдет ниже.
Мучнистые червецы на фикусе, меры борьбы
Очень часто у фикуса бенджамина начинают желтеть, сохнуть и опадать листья. Если это не связано с погрешностями в уходе или перемещением цветка на другое место, то, возможно, причина такого явления - поражение растения мучнистыми червецами. Чтобы обнаружить вредителя, нужно осмотреть листья и стебли фикуса.
Заметить вредителя нетрудно. Его тело окутано беловатым веществом - порошковидным воском. Он похож на вату или войлок. Растению вредят самки и личинки. О заражении говорят не только появившиеся белые коконы, но и истечение белого сока из поврежденных листовых пластин или стебля. При этом поверхность становится липкой.
Если не принять меры незамедлительно, вредитель может вызвать усыхание не только отдельных листочков, но и остановку побегов в росте, а затем гибель всего растения.
Скорость размножения этого опасного вредителя огромна, одна самка, длина тела которой в среднем 3-5 мм, откладывает до 600 яиц. Они также находятся в мягком белом коконе. Процесс откладывания яиц продолжается около двух недель, после чего самки погибают.
Молодые особи начинают активно питаться соками растения, вокруг них появляются белые нити и размножение повторяется. При температуре выше 24 градусов и при высокой влажности рост и достижение половой зрелости у червецов проходить очень быстро.
Бороться с червецом очень сложно, волокна кокона защищают насекомых от прямого воздействия инсектицидов. Кроме того, червецы очень быстро адаптируются к применяемым средства. В начальной стадии поражения можно воспользоваться народными методами:
- сначала вымыть листья с добавление мыла
- после этого ополоснуть их проточной водой
- опрыскать настоем из мандариновых или лимонных корок
Более серьезные меры борьбы с этим вредителем заключаются в следующем:
- кардинальная обрезка всех частей растения, пораженных червецом
- двух - трехкратная обработка растения препаратами "Децис", "Карбофос" по инструкции к препарату, в тяжелых случаях поврежденные части перед опрыскиванием вырезают
Основная профилактика - соблюдение карантина после приобретения новых растений. Даже купленные букеты не стоит размещать рядом с комнатными цветами.
Как бороться со щитовкой на фикусе бенджамина
Щитовки являются для фикусов такими же серьезными вредителями, как и червецы. Щитовка опасна тем, что очень долго может оставаться незамеченной. Из-за твердого кожного щитка с восковым налетом, закрывающего насекомое сверху, и максимально плотного прилегания к частям растения её почти невозможно уничтожить во взрослом состоянии при помощи инсектицидов. Излюбленные места размещения щитовок на фикусе это:
- низ листа
- ствол
- место прикрепления черешков к стволу
При серьезном заражении щитовки могут серьезно повредить растению и реально его погубить. Признаком такого поражения может служить появления липкой жидкости на листовых пластинах. Иногда её так много, что она стекает с листьев. Меры борьбы со щитовкой начинаются с механического удаления взрослых особей ручным способом.
Использование небольшой жесткой щеточки облегчит процесс. Можно использовать и зубную щетку. Ручная чистка эффективна только на ранней стадии. Если время упущено, нужно действовать более радикально. Для этого нужно:
- изолировать зараженный фикус
- убрать всех взрослых особей щитовки, которые удалось разглядеть
- срезать наиболее зараженные листья
- опрыскать растение раствором актары
- через день опрыскать фикус еще раз
- спустя семь дней провести третье опрыскивание
Видео о вредителях фикуса Бенджамина:
Важно! В летнее время осмотр и лечение растения удобнее проводить на свежем воздухе при хорошем солнечном свете. Регулярный внимательный осмотр фикуса является хорошей профилактикой заражения щитовками. Наличие лупы повысит надежность внешних осмотров.
Меры борьбы с паутинным клещом на фикусе бенджамина
Паутинный клещ опасен тем, что его невозможно уничтожить за один раз. Если на стволе фикуса стала заметна тонкая паутинка, то это верный признак появления паутинного клеща. В тяжелых случаях растение может быть полностью опутано паутиной.
При своевременном обнаружении достаточно промыть листья и побеги фикуса мылом. После этого подержать растение три часа и смыть раствор. Накрыть фикус пакетом на сутки. Из химических средств избавиться от паутинного клеща помогут:
- Актеллик
- Неорон
- Фитоверм
Обработку этими препаратами проводят по инструкции с соблюдением мер безопасности. Суеверные люди незаслуженно считают фикус непригодным для выращивания в жилых помещениях. На самом деле это не так. Фикус не только хорошо очищает воздух от пыли и загрязнения, но и снижает количество патогенных микробов. Поэтому присутствие фикуса бенджамина в доме существенно улучшит микроклимат внутри его.
Был назван в честь британского ботаника, который создал справочник цветковых растений и описал множество видов фикуса. Родом это растение из юго-восточных азиатских стран с тропическим климатом. В дикой природе растение представлено довольно крупным деревом до 30 метров, с развесистой кроной, усыпанной узкими овальными мясистыми листочками.
Фикус Бенджамина привлек внимание ботаников красивым внешним видом и начились работы по его селекции. В результате трудов появились декоративные разновидности цветка, имеющие более скромные размеры и способность расти в комнатных условиях.
Фикус Бенджамина любят за его декоративность и мало кто знает, что это растение обладает бактерицидными свойствами и способно очистить воздух от болезнетворных микроорганизмов.
Это растение имеет огромное сортовое разнообразие с листьями разных расцветок и размеров. При правильном уходе декоративно-лиственное растение может вырасти до двух метров. В силу интенсивного роста фикус нуждается в опоре, но ее можно не устанавливать, а красиво переплести несколько побегов в один ствол. Цветок можно сформировать как деревцем, так и кустом.
Наибольшую популярность в комнатном цветоводстве приобрели такие сорта фикуса Бенджамина:
- "Наташа" - кустистое растение с густыми ветвями, покрытыми небольшими овальными листочками зеленой окраски. Размер листиков не превышает трех сантиметров, но это не уменьшает декоративных качеств цветка. Листовая пластина имеет четкое углубление в центре и заостренный кончик.
- "Анастасия" - растение с более крупными листочками умеренно пестрой расцветки. Глянцевые листовые пластины имеют волнистые края и выделяющиеся на темно-зеленом фоне более светлые прожилки.
- "Даниэль" - быстрорастущий сорт с темной насыщенной глянцевой листвой. Довольно пышное растение, листочки которого вырастают до восьми сантиметров и имеют гладкие грани.
- "Кинки" - пестрый кустик с меленькими нежными листиками, который вырастает до сорока сантиметров и имеет шаровидную форму. Зеленые листочки очерчены по краю бледно-зелеными или белыми каемками.
- "Микс" - крупная разновидность фикуса с зеленой глянцевой листвой. Достигает высоты два метра и нуждается в формировке кроны посредством обрезки.
- "Твайлайт" - вырастает до полутора метров и имеет интересную окраску листвы, которая сочетает в себе зеленые и белые пятна, растекающиеся по поверхности листовой пластины.
Какой бы сорт не привлек внимание цветовода, фикус нуждается в правильном полноценном уходе. В противном случае растение потеряет свою декоративность и вскоре погибнет.

Ухаживать за фикусом Бенджамина нужно грамотно, учитывая его тропические предпочтения. Для этого нужно выполнить ряд условий:
- правильно разместить цветок в доме
- своевременно поливать и опрыскивать
- соблюдать температурный режим
- вносить подкормки
- формировать крону
Если должным образом не следовать правилам ухода, то фикус начнет чахнуть и станет не украшением дома, а головной болью его обитателей. Выделяют ряд самых распространенных проблем при выращивании:
- пожелтение и пятнистость листьев - явный признак недостатка света
- стремительное опадение листвы - недостаточное и нерегулярное орошение
- появление темных пятен на листьях свидетельствует об избыточных поливах
- листва фикуса приобретает коричневые тона и опадает - это говорит о несоблюдении температурного режима или подверженности сквознякам
- если растение имеет чахлый недоразвитый вид: слабое и с мелкими листочками, то следует уделить внимание подкормкам и добавить минеральных удобрений .
Восстановить здоровье растения довольно сложно, а в некоторых случаях не представляется возможным. Если ошибки содержания замечены на ранних стадиях, то спасти растение можно воссоздав природные условия обитания и устранив причины недомогания. Но если условия выдержаны, а растение чахнет, то причиной могут быть инфекционные заболевания или вредоносные насекомые.

При неправильном уходе, а именно от избытка влаги, фикус Бенджамина может покрыться наростами, которые сосредоточены на внутренней стороне листовой пластины - это симптомы водянки. Растение можно спасти воссоздав благоприятные условия, по пораженные листики придется удалить, потому как они не поддаются лечению.
Но недуги, связанные с неправильным уходом, не единственные, от которых страдает растение. Часто фикус могут поражать инфекционные грибковые болезни, лечить которые очень сложно:
- Антракноз развивается вследствие поражения несовершенными грибками. Признаками болезни является образование на листиках темных бурых пятен, которые перерастают в язвенные образования. Если не принимать кардинальных мер, то растение вскоре погибнет. При лечении избавляются от всей пораженной листвы, а затем проводят обработку фунгицидными препаратами . Обработки проводят в несколько этапов, согласно инструкции. На протяжении всего периода лечения следует часто проветривать комнату, не создавая сквозняков, ограничить поливы и воздержаться опрыскиваний.
- Серая гниль также является грибковой инфекцией. Первыми симптомами является появление на листьях сероватого налета, похожего на плесень. Со временем налет распространяется по всему растению и душит его. Первым делом нужно обмыть растение мыльным раствором и удалить поврежденные части . Дальше провести обработку специальными препаратами и содержать в изоляции от других растений. Обработки следует проводить до полного отступления болезни, иначе она вскоре вернется и уничтожит ослабленное растение.
- Корневая гниль возникает вследствие поражения корней грибками. Толчком к болезни служит избыточное увлажнение почвы. Признаками корневой гнили служит пожелтение и увядание листьев, которые стремительно начинают темнеть и опадать. Вылечить цветок возможно только на ранних стадиях заболевания путем "хирургического вмешательства". Фикус следует аккуратно вынуть из горшка и внимательно осмотреть корешки, если они все темные и мягкие, то спасти растение не удастся, а если большая часть корней имеет белый цвет, то излечение возможно. Все потемневшие и поврежденные корни следует обрезать, также обрезке подвергают и часть кроны с признаками недуга. Причем, процентное соотношение удаляемых наземных и подземных частей должен быть примерно равен. После этого производят посадку растения в подготовленную .
- Также встречаются болезни, которые имеют бактерицидную природу и не поддаются лечению. Они выражаются в уродливых наростах и пузырях на листовых пластинах, а также в различных опухолях на стволовых участках растения. В случае заболевания, растение нужно изолировать и провести обработку инсектицидами. А если улучшения не наступает, то фикус следует уничтожить.

Чтобы избежать неприятностей при выращивании растения нужно правильно за ним ухаживать:
- Поливы следует проводить регулярно и не очень обильно, не допуская застоя влаги и пересыхания земляного кома. Также нужно периодически опрыскивать растение теплой водой.
- Месторасположение нужно подобрать так, чтобы фикус Бенджамина не подвергался воздействию сквозняков и прямых солнечных лучей. Света должно быть много иначе растение утратит свою декоративность. В зимнее время обязательно устанавливают дополнительное освещение .
- Температуру следует поддерживать на уровне 22-26 градусов в летнее время, а в зимнее - 15-18 градусов будет достаточно.
Если придерживаться рекомендаций опытных садоводов и уделять достаточно внимание цветку, то фикус Бенджамина порадует своей красотой и украсит любой интерьер. К тому же это растение не теряет своей декоративности в зимнее время и будет радовать глаз круглый год.
Больше информации можно узнать из видео:










